|
|
Informacja10.08.2012
Informacja
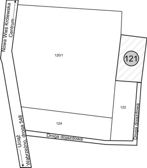
10.08.2012zgodnie z art. 35 ust.1 ustawy z dnia 21 sierpnia 1997 r. o gospodarce nieruchomościami (Dz. U. z 2010 r. Nr 102, poz. 651 z późn. zm.) informuję, że w dniu 10 sierpnia 2012 r. na tablicy ogłoszeń Urzędu Gminy w Płużnicy wywieszony został na okres 21 dni, wykaz zawierający nieruchomości mienia komunalnego Gminy Płużnica przeznaczone do sprzedaży w miejscowości Nowa Wieś Królewska, oznaczone w ewidencji gruntów i budynków jako:
1) działka nr 121 o pow. 0,28 ha,
w studium uwarunkowań i kierunków zagospodarowania przestrzennego Gminy Płużnica, położona jest na terenach rolniczych. Informację o wykazie zamieszczono również na stronie internetowej Gminy www.pluznica.pl.

metryczka
Wytworzył: Marcin Skonieczka (10 sierpnia 2012)
Opublikował: Wiesława Szpanowska (13 sierpnia 2012, 08:48:01)
Ostatnia zmiana: Mariusz Bartosik (13 sierpnia 2012, 09:29:29)
Zmieniono: dodanie wpisu
rejestr zmian tej informacji »
Liczba odsłon: 1681








